| Зовнішнє незалежне оцінювання з географії 2009
| № і зміст завдання
|
Правильна відповідь
|
| 1. Яка подія відбулася на початку епохи Великих географічних відкриттів? А відкрито Антарктиду Б з'явилися перші географічні карти В уперше висловлено припущення, що Земля має форму кулі Г європейці дізналися про нову частину світу
|
Г
|
| 2. Причиною припливів і відпливів у Світовому океані є ... А притягання Місяця та Сонця. Б нерівномірний річковий стік. В нерівномірне нагрівання земної поверхні. Г нахил земної осі до площини орбіти.
|
А
|
| 3. У якій із точок, що позначені на карті, Сонце знаходиться в зеніті ополудні 23 вересня? 
|
Б
|
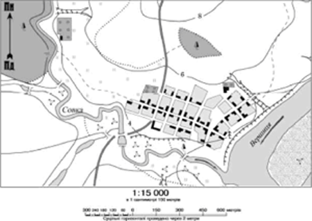
| 4. Розгляньте план місцевості. Яке число найточніше відображає відстань у метрах, яку пройшов пішохід стежкою від річки Совки, що протікає попід лісом, через найдовшу вулицю села до ялини над обривом річки Вершиці? 
| А 850
|
Б 1300
|
В 2700
|
Г 2250
|
|
Б
|
| 5. Визначте схему, на якій відображено походження озерних улоговин Танганьїки та Байкалу? 
|
В
|
| 6. Розгляньте карту уявної земної поверхні. Доберіть правильне твердження про природу та господарство цієї місцевості.  А Середньорічна кількість опадів в місті Р більша, ніж у місті R. Б Витрата води в річках X, Y, Z значно більша у квітні, ніжу жовтні. В Найімовірніше, що порт буде збудовано в районі міста М. Г Найкоротша дорога між містами S та М проходить через перевал.
|
А
|
| 7. Укажіть географічні об'єкти, у межах яких рослинний і тваринний світ найбагатший і найрізноманітніший. А Гобі, Наміб Б Альпи, Аппалачі В Амазонія, Калімантан Г Масив Вінсон, Баффінова Земля
|
В
|
| 8. Визначте правильне твердження про природу океанів. А У Північному Льодовитому океані є багато коралових островів. Б У Атлантичному океані знаходиться найглибша западина Світового океану. В Акваторія Тихого океану займає понад половину площі поверхні планети. Г Водні маси верхнього шару Індійського океану холодніші на півдні, ніж на півночі.
|
Г
|
| 9. Яке твердження щодо географічного положення Австралії правильне? А Екватор перетинає південну частину материка. Б Майже посередині її перетинає Південний тропік. В Найближчими до материка є Африка та Північна Америка. Г Зі сходу омивається водами Атлантичного океану.
|
Б
|
| 10. Укажіть географічний об'єкт, у межах якого знаходиться найвища вершина Африки. А гори Атлас Б Драконові гори В Ефіопське нагір'я Г Східноафриканське плоскогір'я
|
Г
|
| 11. Визначте координати антарктичної станції "Восток", де зафіксовано найнижчу температуру повітря на Землі.
| 
|
А 790
пд. ш. 1050
сх. д. Б 790
пн. ш. 1050
сх. д. В 790
пн. ш. 1050
зх. д. Г 790
пд. ш. 1050
зх. д.
|
|
А
|
| 12. Визначте природну країну Південної Америки, що має такі ознаки: "субтропічний клімат з рівномірним зволоженням; на незораних червонувато-чорпих ґрунтах домінують злаки; водяться гуанако, мустанги, олені, нанду; переважає вирощування кукурудзи, пшениці та скотарство". А Патагонія Б Пампа В Гвіанське плоскогір'я Г Бразильське плоскогір'я
|
Б
|
| 13. Укажіть правильне твердження про пам'ятку природи Північної Америки - печеру Флінт-Мамонтова. А Найдовша печера на материку. Б Знаходиться за Північним полярним колом. В Має еолове походження. Г Єдина гіпсова печера у світі.
|
А
|
| 14. За допомогою карти, де зображено межі поширення багаторічної мерзлоти, визначте країну Євразії, населення якої має можливість в околицях столиці використовувати влітку природні холодильники для збереження продуктів харчування.
| 
|
А Норвегія Б Росія В Фінляндія Г Монголія
|
|
Г
|
| 15. За даними таблиці визначте столицю держави, на залізничному вокзалі якої годинник вказує такий же час, що й на київському.
| Столиця
|
Широта
|
Довгота
|
| Київ
|
510
пн. ш.
|
310
сх. д.
|
| А
|
Братислава
|
480
пн. ш.
|
170
сх. д.
|
| Б
|
Будапешт
|
470
пн. ш.
|
190
сх. д.
|
| В
|
Бухарест
|
440
пн. ш.
|
260
сх. д.
|
| Г
|
Москва
|
560
пн. ш.
|
370
сх. д.
|
|
В
|
| 16. Складовою якої тектонічної структури є пороги в руслі річки, що мала назви: Борисфен, Данапріс, Славутич? А Український щит Б Дніпровсько-Донецька западина В Волино-Подільська плита Г Донецька складчаста споруда
|
А
|
| 17. Результат якого процесу зображено на схемі?
| 
|
А сель Б карст В зсув Г осипище
|
|
В
|
| 18. На якій кліматодіаграмі відображено кліматичні умови Києва? 
|
Г
|
| 19. Визначте похил р. Дунай за даними, указаними на схемі.
| 
|
А 0,24 м/км Б 4,22км/м В 0,24 км/м Г 4,22м/км
|
|
А
|
| 20. Якою буквою на космічному знімку позначено частину акваторії Чорного моря, де проходить Кавказька течія? 
|
В
|
| 21. Визначте регіон України, для якого типовими є подані в таблиці ґрунти, рослини і тварини.
| Ґрунти
|
Рослини
|
Тварини
|
| бурі, сіро-бурі, дерново-буроземні
|
бук, ялиця, ялина, ялівець, сосна сланка
|
олень благородний, ведмідь бурий, глухар
|
| А Карпати
|
Б Крим
|
В Полісся
|
Г Поділля
|
|
А
|
| 22. Яка причина збільшення солоності води в Азовському морі? А Надходження забруднених вод річок Кальміус і Молочної. Б Збільшення густоти популяції медуз і риби в морі. В Збільшення витрат кисню у воді під час розкладу органіки. Г Інтенсивне зрошення в долинах Дону та Кубані.
|
Г
|
| 23. Проаналізувавши статево-вікову піраміду, визначте правильне твердження про міське населення однієї з областей України.  А Жіноче населення за кількістю поступається чоловічому в усіх вікових групах. Б Найбільша різниця кількості жінок і чоловіків у віці понад 70 років. В Половина населення області - дитячого та підліткового віку. Г Серед дітей віком до чотирьох років значно більше дівчаток, ніж хлопчиків.
|
Б
|
| 24. Укажіть елементи територіальної структури господарства. А целюлезно-паперова фабрика, коксохімічний завод, навчально-виховний заклад Б приватне підприємство, фермерське господарство, кооператив В промисловий центр, сільськогосподарська зона, економічний район Г виробнича інфраструктура, соціальна сфера, зовнішня торгівля
|
В
|
| 25. Визначте рядок із правильним поєднанням даних про підприємство машинобудівної галузі України в ланцюзі: місто - назви підприємства — продукція- основний фактор розміщення.
| Місто
|
Назва підприємства
|
Продукція
|
Основний фактор розміщення
|
| A
|
Ужгород
|
Концерн "Лан"
|
зернозбиральні комбайни
|
споживач
|
| Б
|
Черкаси
|
Концерн "Черкаський автобус"
|
маршрутні автобуси
|
траса газопроводу
|
| В
|
Харків
|
КНТК "Антонов"
|
літаки
|
наукова база
|
| Г
|
Краматорськ
|
"Новокраматорський машзавод"
|
ковальсько-пресове устаткування
|
металургійна база
|
|
Г
|
| 26. Який вид продукщї основної хімії виробляється в містах Черкаси, Рівне, Одеса, Сєвєродонецьк і Дніпрсдзержинськ? А калійні добрива Б азотні добрива В фосфатні добрива Г сода
|
Б
|
| 27. Площі посівів якої сільськогосподарської культури в Україні відображено на картограмі?
| 
|
А соя Б соняшник В цукровий буряк Г льон-довгунець
|
|
В
|
| 28. Як називаються антропогенні та природні об'єкти, а також явища природи, які використовуються для відновлення та розвитку фізичних і духовних сил людини? А технополіси Б мінеральні ресурси В рекреаційні ресурси Г виробнича інфраструктура
|
В
|
| 29. Оберіть правильне твердження щодо транспорту України. А Найвищу собівартість перевезень має авіаційний транспорт. Б Найдовші каботажні перевезення здійснюються між Іллічівськом та Ялтою. В Головну роль у внутрішньоекономічних зв'язках відіграє річковий транспорт. Г Основний недолік трубопровідного транспорту - залежність від погоди.
|
А
|
| 30. Визначте економічний район, що спеціалізується на виробництві літаків, вантажних автомобілів, нафтопродуктів, поліграфічної продукції. А Подільський Б Карпатський В Столичний Г Північно-Східний
|
Г
|
| 31. Укажіть міжнародну організацію, членом якої є Україна. А ЄС Б ООН В НАТО Г НАФТА
|
Б
|
| 32. Укажіть правильне твердження про населення країн "великої сімки". А Низький рівень та високі темпи урбанізації Б Переважання частки зайнятих у сільському господарстві. В Низький і від'ємний показник природного приросту. Г Незначна частка зайнятих у сфері послуг.
|
В
|
| 33. Визначте корисну копалину, міжнародні вантажопотоки якої відображено на картосхемі.
| 
|
А кам'яне вугілля Б мідна руда В залізна руда Г нафта
|
|
В
|
| 34. Частку збору певної сільськогосподарської культури у структурі світового виробництва зернових відображено на діаграмі суцільним сірим кольором. Яка це культура?
| 
|
А кукурудза Б ячмінь В овес Г жито
|
|
А
|
| 35. У якому регіоні США знаходяться 2/3 запасів деревини країни; найбільша ГЕС Гранд-Кулі на р. Колумбія; у головному місті Сіетлі - аерокосмічна компанія "Боїнг" та електронна компанія "Майкрософт"? А Приозер'я Б Тихоокеанський Північний Захід В Атлантичне узбережжя Г Південь
|
Б
|
| 36. Яке місто Росії є центром морського суднобудування? А Санкт-Петербург Б Нижній Новгород В Красноярськ Г Єкатеринбург
|
А
|
| 37. Що призвело до того, що за економічним потенціалом і ВВП Китай знаходиться в першій десятці країн світу? А Різке скорочення військового виробництва та переорієнтація його на виробництво сільськогосподарських машин і гірничого устаткування. Б Проведення системних економічних реформ і політики "відкритих дверей". В Здійснення політики "великого стрибка" та "культурної революції". Г Повна заміна вугілля в паливно-енергетичному балансі на газ та уран.
|
Б
|
| 38. Яка держава фінансово-технологічною підтримкою сприяла розвиткові машинобудування країн нової індустріалізації - «азіатських тигрів»? А В'єтнам Б Північна Корея В Австралія Г Японія
|
Г
|
| 39. Укажіть правильне твердження щодо лідерства країни в Латинській Америці. А Чилі виробляє найбільше автомобілів. Б Аргентгша імпортує найбільше зерна. В Бразилія має найбільші запаси мідної руди. Г Еквадор експортує найбільше бананів.
|
Г
|
| 40. Який європейський курорт мас вибрати сім'я, що планує відпочити на березі океану? А Маямі (США) Б Баден-Баден (ФРН) В Коста-Верде(Іспанія) Г Давос (Швейцарія)
|
В
|
| 41. Установіть відповідність між назвами галуаей географічних наук і предметом їхнього вивчення.
| 1 соціальна географія
|
А наука про просторові форми ти процеси організації життя людей і виробництва - умов їхньої праці, відпочинку, побуту, розвитку особистості.
|
| 2 фізична географія
|
Б наука, що вивчає природні води, явища і процеси, що в них відбуваються
|
| 3 геоморфологія
|
В наука про рельєф земної поверхні, що утворився в результаті постійної взаємодії внутрішніх і зовнішніх процесів
|
| 4 гідрологія
|
Г наука про географічну оболонку Землі, її склад, структуру, особливості формування, розвитку, просторової диференціації
|
| Д наука, що вивчає історію розвитку географічної оболонки й окремих ландшафтів за весь період їхнього існування, що передував сучасному
|
|
1-А, 2-Г, 3-В, 4-Б
|
| 42. Установіть відповідність між назвами форм дна океану та їхніми зображеннями, позначеними на схемі буквами. А рифт Б шельф В ложе океану Г глибоководний жолоб 
|
1-Д, 2-А, 3-В, 4-Г
|
| 43. Установіть відповідність між різновидами сонячної радіації, що на схемі позна¬чені цифрами, та їхніми назвами, що вказані буквами. 
| А сумарна
|
Б розсіяна
|
В поглинута
|
Г пряма
|
Д відбита
|
|
1-Б, 2-Д, 3-Г, 4-В
|
| 44. Установіть відповідність між річками та формами поверхні, де знаходяться витоки цих. річок (див. парту ).
| 1 Дніпро
|
А Валдайська височина
|
| 2 Прип'ять
|
Б Поліська низовина
|
| 3 Сіверський Донець
|
В Донецький кряж
|
| 4 Дністер
|
Г Карпати
|
| Д Середньоруська височина
|

|
1-А, 2-Б, 3-Д, 4-Г
|
| 45. Установіть відповідність між ландшафтними краями (провінціями) лісостепової зони України та їхніми характеристиками.
| 1 Середньоруський
|
А знаходиться в межах Подільської та Придніпровської височин, у минулому значні площі були зайняті широколистими лісами
|
| 2 Дністровсько-Дніпровський
|
Б через неглибоке залягання засолених ґрунтових вод поширені солонцюваті ґрунти з солончаковою рослинністю, трапляються соляні куполи
|
| 3Західноукраїнський
|
В переважають сухостепові ландшафти прибережно-морської місцевості
|
| 4 Лівобережно-Дніпровський
|
Г найбільш підвищена та найбільш зволожена частина лісостепової зони
|
| Д кліматичні умови континентальніші, ніж в інших лісостепових краях
|
|
1-Д, 2-А, 3-Г, 4-Б
|
| 46. Установіть відповідність між назвою виду міграції та переміщенням населення в Україні.
| 1 внутрішня міграція
|
А виїзд з Івано-Франківської області на постійне проживання в Іспанію
|
| 2 еміграція
|
Б переїзд на проживання у Вінницю з сільської місцевості Хмельницької області
|
| 3 імміграція
|
В переїзд представника української діаспори в Римі на постійне проживання в Мілан
|
| 4 реміграція
|
Г повернення в Україну киян, які виїжджали до Польщі на постійне проживання
|
| Д в'їзд жителя Молдови в Україну на постійне проживання
|
|
1-Б, 2-А, 3-Д, 4-Г
|
| 47. Установіть відповідність між формами організації виробництва на підприємстві та твердженнями про ці форми.
| 1 концентрація
|
А поєднання кількох взаємозв'язаних за технологічним процесом виробництв на одному підприємстві
|
| 2 кооперування
|
Б виробництво на підприємстві однорідної продукції
|
| 3 спеціалізація
|
В налагодження підприємством зв'язків з іншими підприємствами для випуску готової продукції
|
| 4 комбінування
|
Г взаємозв'язане поєднання підприємств різних галузей на спільній території
|
| Д зосередження виробництва продукції на великому підприємстві
|
|
1-Д, 2-В, 3-Б, 4-А
|
| 48. Установіть відповідність між назвами атомних електростанцій та економічними районами, у яких вони знаходяться.
| 1 Запорізька
|
А Причорноморський
|
| 2 Рівненська
|
Б Подільський
|
| 3 Хмельницька
|
В Північно-Західний
|
| 4 Південноукраїнська
|
Г Північно-Східний
|
| Д Придніпровський
|
|
1-Д, 2-В, 3-Б, 4-А
|
| 49. Установіть відповідність між країнами та структурою релігійних вірувань їх населення.
| 1 Росія
|
А індуїсти - 81%, мусульмани - 12%, християни -3%, сікхи - 3%, інші, включаючи буддистів, джайнів, парсів, - 3%
|
| 2 Китай
|
Б православні - 40%, мусульмани — 10%, протестанти - 1%, іудаїсти - 0,4%, католики - 0,3%, атеїсти та інші - 48,3%
|
| 3 Єгипет
|
В мусульмани-суніти - 94%, християни-копти та інші - 6%
|
| 4 США
|
Г протестанти - 56%, католики - 28%, іудаїсти - 2%, інші-4%
|
| Д атеїсти - 64%, національна релігія (поєднання конфуціанства, даосизму ти буддизму) - 20%, буддисти - 9%, мусульмани - 1%, інші - 6%
|
|
1-Б, 2-Д, 3-В, 4-Г
|
| 50. Установіть відповідність між інформацією, що характеризує ту чи іншу дер¬жану, та державою, позначеною на карті буквою.
| 
|
1 за збором винограду утримує перше місце у світі, один із кварталів столиці є територією теократичної монархії 2 за промисловим потенціалом поступається тільки США та Японії, у результаті об'єднання країни в кінці XX ст. збільшилася її територія, поновлено місцезнаходження столиці 3 має значні запаси нафти на шельфі, конституційна монархія, лідер серед країн Співдружності Націй 4 за населенням - друга, за площею -перша країна в Західній Європі, у одному з міст на сході знаходиться Європейський парламент
|
|
1-Б, 2-В, 3-Г, 4-А
|
| 51. Розташуйте імена мандрівників за часом їхніх відкриттів, починаючи з найдавнішого. А Христофор Колумб Б Вітус Берінг В Марко Поло Г Жак Ів Кусто
|
В, А, Б, Г
|
| 52. Установіть послідовність розташування заповідників і національних парків світу (з півночі на південь). А Біловезька пуща Б Ігуасу В Серенгеті Г Чорноморський
|
А, Г, В, Б
|
| 53. Укажіть послідовно типових представників тваринного світу географічних поясів Євразії, починаючи від найближчого до екватора. 
|
Б, В, Г, А
|
| 54. Кокосовий горіх упав в море з берега о. Лусон (Філіппінський архіпелаг), а хвиля з часом прибила його на о. Кадьяк (поблизу Північної Америки). Укажіть послідовно течії, які несли горіх.
| 
|
А Північна Пасатна Б Аляскінська В Куросіо Г Північно-Тихоокеанська
|
|
А, В, Г, Б
|
| 55. Розташуйте послідовно назви родовищ корисних копалин України, зображених на карті умовними знаками в порядку віддалення від Донецького вугільного басейну.
| 
|
А Голіцинське Б Сиваське В Білозерськє Г Великотокмацьке
|
|
Г, В, Б, А
|
| 56. У якій послідовності відвідає турист обласні центри, якщо він прямує зі Львова в Полтаву за вказаним на картосхемі маршрутом?
| 
|
А Вінниця Б Черкаси В Тернопіль Г Хмельницький
|
|
В, Г, А, Б
|
| 57. Установіть послідовність стадій металургійного виробничого процесу, починаючи від початкової. А виготовлення прокату Б збагачення руди В виплавлення сталі Г виплавлення чавуну
|
Б, Г, В, А
|
| 58. Припустимо, що біля витоку річка Нігер була забруднена шкідливими речовинами. Укажіть послідовно країни лівобережжя, які зазнали б небезпеки.
| 
|
А Нігерія Б Нігер В Малі Г Гвінея
|
|
Г, В, Б, А
|
| 59. Визначте водозабезпеченість населення зазначених у таблиці країн. Розташуйте їх послідовно, починаючи від найменшого обчисленого показника.
| Країни
|
Ресурси прісної води, км3
|
Кількість населення, млн осіб
|
| A
|
Канада
|
2900
|
33
|
| Б
|
Бангладеш
|
2360
|
145
|
| В
|
Венесуела
|
1320
|
28
|
| Г
|
Бразилія
|
6950
|
190
|
|
Б, Г, В, А
|
| 60. Установіть у хронологічній послідовності події (починаючи від найдавнішої), наслідком яких є антропогенні зміни в природі. А широкомасштабна меліорація земель Полісся, що було передбачено п'ятирічними планами союзної держави, складовою якої була Україна Б створення Чорнобильської зони відчуження після аварії на ЧАЕС В прийняття Верховною Радою незалежної України Закону про ратифікацію "Європейської ландшафтної конвенції" Г заснування зоопарку та дендропарку Ф. Фальц-Фейном в Асканії Новій, що стало початком створення заповідника для збереження природи європейського степу
|
Г, А, Б, В
|
|