Проект водоснабжения с. Бурибай Хайбуллинского района
Состояние важнейшей системы жизнеобеспечения водопровода непосредственно отражает уровень развития любого населенного пункта.
Главной целью на новом этапе развития централизованного водоснабжения и канализования городов следует считать обеспечение экологической безопасности водопользования в секторе хозяйственно-питьевого водообеспечения. Удовлетворение насущных потребностей населения в воде, как и прежде, остается базовой составляющей. Усиливается роль социально-экологических составляющих, не снижая роли инженерно-технических факторов. Под безопасностью водопользования понимается такое состояние развития, при котором все потребности населения и экономики гарантированно обеспечиваются водой необходимого качества в потребном количестве. При этом водные ресурсы наиболее эффективно используются для предотвращения экологических и иных угроз и создания условий устойчивого водопользования в настоящем и будущем.
Важнейшей эколого-экономической задачей необходимо считать ликвидацию или хотя бы существенное сокращение потерь воды в водохозяйственных системах. Позитивные результаты по реализации этих мер:
экологические - уменьшение отбора воды из природных источников и, следовательно, оптимизация ресурсопользования; снижение уровня подтопления городских территорий, повышение устойчивости зданий и сооружений; улучшение санитарно-эпидемиологической обстановки и др.;
экономические - уменьшение платежей за отбор воды из источников; значительное сокращение энергопотребления с соответствующей долей расходов, снижение нагрузки на все элементы водохозяйственной системы и уменьшение эксплуатационных расходов.
Эколого-экономический подход делает более привлекательными для населения реформы в сфере ЖКХ, включая водопроводно-канализационное хозяйство, в том числе в тарифном регулировании водопользования.
1. Общий раздел
1.1 Краткая характеристика объекта проектирования
С. Бурибай тАУ находится в Хайбуллинскомо районе РБ, Расчетное население 6 тыс. чел., степень благоустройства зданий: водопровод, канализация с местными водонагревателями; 2 тыс. чел обслуживаются через водоразборные колонки. Застройка - одноэтажная. Территория района характеризуется относительно малым количеством рек и ручьев. Реки имеют снеговое питание. В суровые зимы наблюдается перемерзание рек, в летний период возможно пересыхание.
Подземные воды в районе содержатся в различных по литологическому составу и возрасту пластах рыхлых пород, зонах открытой региональной трещиноватости и тектонических разломов, разнообразных по составу и происхождению скальных образований.
По форме залегания подземных вод выделяются водоносные горизонты и комплексы, воды спорадического распространения и воды экзогенной открытой трещиноватости.
Район занимает Зауральскую возвышенно - холмистую равнину на востоке, Зилаирское плато - на западе. Поверхность имеет общий наклон на восток. Рельеф западной части сильно расчленен, встречается много глубоких и сравнительно узких долин и логов с крутыми, иногда обрывистыми склонами, которые рассекают территорию на ряд извилистых возвышенных хребтов и отдельных холмов. Средняя высота этой части колеблется от 300 до 500 м. над уровнем моря. Максимальная высота - 619 м.
Восточная часть представляет собой равнину с пологими холмами, которые расчленены неширокими и неглубокими долинами рек и балками с пологими склонами, максимальной высотой 490м.
Для района характерен резко выраженный континентальный климат, т.е. длительный период отрицательных температур, значительные отклонения по годам от средних норм по тепловому режиму и количеству осадков.
Наиболее теплый месяц года - июль, со среднесуточной температурой воздуха +18В°С , +20В°С, с максимумом до + 39В°С, в январе среднесуточное значение -15,8В°С, иногда температура опускается до - 44В°С, -47В°С. Средняя продолжительность безморозного периода - 100-120 дней. Часты поздние весенние (до 9 июня) и ранние осенние (до 25 августа - 2 сентября) заморозки. Среднегодовое количество осадков колеблется от 210 до 400 мм. в год.
Летние месяцы характеризуются засушливыми днями с частыми сильными ветрами - суховеями южного, юго-западного направлений, с пыльными бурями.
1.2 Нормативные данные
В зависимости от степени благоустройства здания и климатических условий удельное водопотребление принято:
- при потреблении воды через водоразборные колонки - 50 л.чел/сут [1], для водопотребителей, проживающих в зданиях, оборудованных местными водонагревателями - 230л.чел/сут [1]. Нормы приняты с учетом засушливого климата.
В проекте все расчеты и технические решения приняты в соответствии со следующими нормативными документами:
- СНИП 2.04.02-84 Водоснабжение. Наружные сети и сооружения., Москва. Строиздат,1985-136с.
- СанПин2.1.4.1074-01 Питьевая вода. Гигиенические требования к качеству воды централизованных систем питьевого водоснабжения. Контроль качества
2. Расчетно-технологический раздел
2.1 Теоретическое обоснование выбора схемы водоснабжения
Выбор схемы водоснабжения производён на основании сопоставления возможных вариантов ее существования с учетом особенностей объекта, требуемых расходов воды на разных этапах их развития, источников водоснабжения, требовании к напорам, качеству воды и обеспеченности ее подачи.
Схема подачи воды следующая: вода из водозаборных скважин погружными насосами подается по водоводу через установку водоподготовки напорные резервуары и в водопроводные башни, которые расположены на площадке водопроводных сооружений у с.Бурибай и далее в водопроводную сеть.
Водозаборные скважины
В конструкции скважины необходимо предусматривать возможность контроля дебита, уровня и отбора проб воды, а так же производства ремонтно-восстановительных работ при применении импульсных, реагентных и комбинированных методов регенераций при эксплуатации скважин.
Диаметр эксплуатационной колонны в скважинах следует принимать при установке насосов: с погружным электродвигателемтАФ равным номинальному диаметру напорного водовода.
Исходя из местных условий и оборудования устье скважины расположено в наземном павильоне.
Габариты павильона в плане приняты из условия размещения в нем электродвигателя, электрооборудования и контрольно-измерительных приборов (КИП).
Высота наземного павильона принята в зависимости от габаритов оборудования.
Верхняя часть эксплуатационной колонны труб должна выступать над полом не менее чем на 0,5 м.
Конструкция оголовка скважины должна обеспечивать полную герметизацию, исключающую проникание в межтрубное и затрубное пространство скважины поверхностной воды и загрязнений.
Монтаж и демонтаж секций скважинных насосов следует предусматривать через люки, располагаемые над устьем скважины, с применением средств механизации.
Верхняя часть надфильтровой трубы должна быть выше башмака обсадной колонны не менее чем на 3 м при глубине скважины до 50 м и не менее чем на 5м при глубине скважины более 50 м; при этом между обсадной колонной и надфильтровой трубой при необходимости должен быть установлен сальник.
После окончания бурения скважин и оборудования их фильтрами необходимо предусматривать прокачку, а при роторном бурении с глинистым растворомтАФразглинизацию до полного осветления воды.
Для установления соответствия фактического дебита водозаборных скважин принятому в проекте необходимо предусматривать их опробование откачками.
Для обеззараживания воды в проекте применена ультрафиолетовая технология обработки воды. Выбор технологии обновлен: во-первых, новыми научными проработками проблемы, доказывающими, что ультрафиолетовое излучение может применяться как альтернативаокислительным методом (хлорирование) за счет простоты, безопасности и низких эксплуатационных затрат. К бесспорным достоинствам технологии ультрафиолетового обеззараживания относится отсутствие какого-либо воздействия на химический состав воды, что позволяет решать задачи обеззараживания без образования побочных токсичных продуктов.
Во-вторых, серийный выпуск отечественных установок, отвечающих требованиям международных стандартов и способных обеспечить приемлемые технико-эксплуатационные и экономические показатели, позволяет значительно расширить область применения ультрафиолетовой обработки. В - третьих, появилась возможность обеспечения надежного санитарно-эпидемиологического контроля за обеззараженной водой, так как в 1998 году были утверждены методические указания, в которых впервые установлена база облучения, а также определены правила эксплуатации и контроля работы ультрафиолетовых установок, величина базы облучения впервые утверждена в качестве косвенного показателя достижения бактерицидного эффекта.
Умягчение воды
Умягчение подземных вод достигается катионитным методом фильтрования воды через загрузку, способную обменивать катионы кальция и магния на катионы натрия или водорода. Анализ проб воды свидетельствует о превышении предельно-допустимой концентрации по жёсткости. Поэтому в данном проекте предусмотрена дополнительно технология умягчения воды катионированием.
Водонапорные башни
Водонапорные башни предназначены для регулирования подачи и расхода воды и обеспечения необходимого напора в каждой точке сети в любое время суток.
В поселке Бурибай сооружены пять водонапорных башен емкостью бака 0 м3, высотой ствола 12м, диаметром опоры 1420 мм и по типовому проекту 901-5-29, разработанному институтом ВлГипроНИИсельхозВ» и ЦНИИЭП Госгражданстроя.
Водонапорная башня включает следующие конструктивные элементы: бак (резервуар), ствол или, иначе, несущую конструкцию.
Башня - колонна (ствол) составляется из двух частей, стальной бак сварной, цилиндрической формы, не имеет днища и переходит конической частью (горловиной) в цилиндрическую опору, заполненную водой.
Стальная крыша приваривается на заводе к цилиндрической стенке бака и является диафрагмой жесткости в крыше имеется смотровой люк. На внутренних стенках бака приварены скобы -льдодержатели.
Наружная лестница стальная, с предохранительным ограждением. Внутри башни предусмотрены скобы для спуска обслуживающего персонала при очистке и ремонте башни.
2.2 Определение режима водопотребления и расчетных расходов воды
Максимальный суточный расход, м3/сут
Qсутmax = Kcymmax *K((g1*N + q 2N2)/1000), (1)
где Ксуттах - коэффициент суточной неравномерности водопотреб-ления, Ксуттах= 1,3 [1]
К - коэффициент, учитывающий неучтенные расходы и нужды местной промышленности К = 1,2[1]
q1 - удельное водопотребление для потребителей получающих воду через водоразборные колонки, д1 =50 л * чел/сут [1] N - расчетное население, пользующееся водоразборными колонками, N = 2000 чел.
q2 - удельное водопотребление для жителей проживающих в
зданиях, оборудованных местными водонагревателями q2 = 230 л*чел/сут[1]
N2- расчетное население, проживающих в зданиях оборудованных местными водонагревателями
Таблица 1 - Сводное водопотребление
| Часы | Население | Баня | Всего | |
| % | расход | |||
| 1 | 2 | 3 | 4 | 5 |
| 0-1 | 0,75 | 10,64 | 10,64 | |
| 1-2 | 0,75 | 10,64 | 10,64 | |
| 2-3 | 1 | 14,18 | 14,18 | |
| 3-4 | 1 | 14,18 | 14,18 | |
| 4-5 | 3 | 42,55 | 42,55 | |
| 5-6 | 5,5 | 78,01 | 78,01 | |
| 6-7 | 5,5 | 78,01 | 78,01 | |
| 7-8 | 5,5 | 78,01 | 10,8 | 88,81 |
| 8-9 | 3,5 | 49,64 | 10,8 | 60,44 |
| 9-10 | 3,5 | 49,64 | 10,8 | 60,44 |
| 10-11 | 6 | 85,1 | 10,8 | 95,9 |
| 11-12 | 8,5 | 120,56 | 10,8 | 131,36 |
| 12-13 | 8,5 | 120,56 | 10,8 | 131,36 |
| 13-14 | 6 | 85,1 | 10,8 | 95,9 |
| 14-15 | 5 | 70,92 | 10,8 | 81,72 |
| 1516 | 5 | 70,92 | 10,8 | 81,72 |
| 16-17 | 3,5 | 49,64 | 10,8 | 60,44 |
| 17-18 | 3,5 | 49,64 | 10,8 | 60,44 |
| 18-19 | 6 | 85,1 | 10,8 | 95,9 |
| 19-20 | 6 | 85,1 | 10,8 | 95,9 |
| 20-21 | 6 | 85,1 | 10,8 | 95,9 |
| 21-22 | 3 | 42,55 | 10,8 | 53,35 |
| 22-23 | 2 | 28,37 | 10,8 | 39,17 |
| 23-24 | 1 | 14,18 | 14,18 | |
| Итого | 100 | 1418 | 172,8 | 1591,2 |
Qcymmax= 1,3 * 1,2 ((50 * 2000 + 230*4000)/1000) = 1591,2 м3/сут
Коэффициент максимальной часовой неравномерности:
Кч.тах = αтах * 1,4 = 1,82 (2)
где αтах - коэффициент, учитывающий степень благоустройства зданий, αтах = 1,3 [1] βтах - коэффициент, учитывающий число жителей в населенном пункте, βтах =1,4 [1]
Кч.тах = 1,3 * 1,4 = 1,82
Расчетный часовой расход, м3/ч
Qчmax = Кч.тах * Qcymmax /24 (3)
Qчmax = 1,82 * 1591,2/24 = 120,67м3/ч
2.2.1 Определение расчетных расходов на хозяйственно-питьевые нужды
Сосредоточенный расход воды (для бани), м3/ч
Qсоср=
, (4)
где g- норма водопотребления, g = 150 л [8]
N - расчетное население, N = 6000 чел
Qcocp =150*8* 6000/106 = 7,2 m3/ч или 172.8 m3/сутки , или 2 л/с
2.2.2 Определение противопожарного расхода
Противопожарный расход, л/с:
Qпож =gпож*nпож+gвр (5)
гдe g пож- норма расхода воды на тушение одного пожара, g пож = 10 л/с п пож - количество одновременных пожаров п пож - 1[1] gвр - расход на внутренние пожары, gвр = 2,5л/с [2]
Qпож =10*1+2,5=12,5 л/с
2.2.3 Определение расчетных расходов по участкам сети
Удельный расход, л /с*м
Qуд=
(6)
где Σl - сумма длин участков сети, Σl =24145M
Qуд=
=0,00127л/см
Путевой расход, л/с
g i =gуд*l1
где gуд - удельный расход, gуд = 0,00127 л/с l1 - длина рассматриваемого участка (7)
Расчеты по определению путевых расходов сведены в таблицу 2
Таблица 2 -Определение расчетных расходов по участкам сети
| Номер участка | Путевой | Длина |
| 1 | 2 | 3 |
| 83'-83 | 0,10795 | 85 |
| 81-83 | 0,10795 | 85 |
| 82'-82 | 0,14605 | 115 |
| 81-82 | 0,15875 | 125 |
| 81-82 | 0,15875 | 125 |
| 80-81 | 0,5715 | 450 |
| 80'-81 | 0,1905 | 150 |
| 80-79 | 0,4953 | 390 |
| 86'-86 | 0,3048 | 240 |
| 86-79 | 0,2794 | 220 |
| 79-78 | 0,1397 | 110 |
| 92-91 | 0,7874 | 620 |
| 91'-91 | 0,08255 | 65 |
| 91"-91 | 0,14605 | 115 |
| 91-88 | 0,1397 | 110 |
| 90'-90 | 0,0762 | 60 |
| 90-89 | 0,17145 | 135 |
| 89-88 | 0,61595 | 485 |
87тАЩ-87 | 0,1143 | 90 |
| 88-87 | 0,23495 | 185 |
| 33'-33 | 0,04445 | 35 |
| 33-32 | 0,1651 | 130 |
| 32-27 | 0,65405 | 515 |
| 32-93 | 0,18415 | 145 |
| 93'-93 | 0,09525 | 75 |
| 72'-72 | 0,4826 | 380 |
| 72-73 | 0,1397 | 110 |
| 73'-73 | 0,4699 | 370 |
| 52-1 | 0,0889 | 70 |
| 8-2 | 0,22225 | 115 |
| 2-1 | 0,4445 | 350 |
| 2-1 | 0,4445 | 350 |
| 2-3 | 0,37465 | 295 |
| 05.-5 | 0,127 | 100 |
| 3-4 | 0,254 | 200 |
| 4-5 | 0,3175 | 250 |
| 5-6 | 0,1524 | 120 |
| 3-7 | 0,46355 | 365 |
| 7-6 | 0,24765 | 195 |
| 1-вЗ | 0,57785 | 455 |
| 74'-71 | 0,14605 | 115 |
| 74"-74 | 0,0635 | 50 |
| 47'-47 | 0,0635 | 50 |
| 47"-47 | 0,03175 | 25 |
| 47"'-47 | 0,08255 | 65 |
| 47-46 | 0,0508 | 40 |
| 46'-46 | 0,0508 | 40 |
| 46"-46 | 0,03175 | 25 |
| 46-45 | 0,10795 | 85 |
| 45'-45 | 0,0508 | 40 |
| 45-44 | 0,09525 | 75 |
| 44'-44 | 0,12065 | 95 |
| 44-43 | 0,1143 | 90 |
| 43'-43 | 0,3175 | 250 |
| 43"-43 | 0,03175 | 25 |
| 43-42 | 0,14605 | 115 |
| 42-36 | 0,14605 | 115 |
41тАЩ-41 | 0,127 | 100 |
| 41-40 | 0,2032 | 160 |
| 40'-40 | 0,28575 | 225 |
| 40-39 | 0,127 | 100 |
| 39-38 | 0,17145 | 135 |
| 38'-38 | 0,03175 | 25 |
| 38-37 | 0,01905 | 15 |
| 37'-37 | 0,0889 | 70 |
| 37-36 | 0,1651 | 130 |
| 36-35 | 0,05715 | 45 |
| 35'-35 | 0,03175 | 25 |
| 35-34 | 0,03175 | 25 |
| 34'-34 | 0,08255 | 65 |
| 34-31 | 0,04445 | 35 |
| 87-93 | 0,17145 | 135 |
| 93-31 | 0,01905 | 15 |
| 31-30 | 0,27305 | 215 |
| 30-29 | 0,27305 | 215 |
| 51'-51 | 0,15875 | 125 |
| 51"-51 | 0,127 | 100 |
| 51-50 | 0,08889 | 70 |
| 50'-50 | 0,127 | 100 |
| 50-49 | 0,127 | 100 |
| 49'-49 | 0,0635 | 50 |
| 49-48 | 0,1905 | 150 |
| 48'-48 | 0,0635 | 50 |
| 48-29 | 0,36195 | 285 |
| 29-26 | 0,1397 | 110 |
| 26'-26 | 0,0508 | 40 |
| 28'-28 | 0,508 | 400 |
| 28"-28 | 0,33655 | 265 |
| 28-27 | 0,09525 | 75 |
| 27-26 | 0,2921 | 230 |
| 26-25 | 0,0508 | 40 |
| 25'-25 | 0,1905 | 150 |
| 25-24 | 0,09525 | 75 |
| 24'-24 | 0,08255 | 65 |
| 24-23 | 0,12065 | 95 |
| 23'-23 | 0,24765 | 195 |
| 23-18 | 0,03175 | 25 |
| 22,1-22 | 0,22225 | 175 |
| 22"-22 | 0,05715 | 45 |
| 22-21 | 0,20955 | 165 |
| 21'-21 | 0,1905 | 150 |
| 21-19 | 0,1016 | 80 |
| 20"-20 | 0,05715 | 45 |
| 20"'-20 | 0,0508 | 40 |
| 20" "-20 | 0,03175 | 25 |
| 20-19 | 0,1778 | 140 |
| 19-18 | 0,127 | 100 |
18тАЩ-18 | 0,03175 | 25 |
| 78-71 | 0,17145 | 135 |
| 71-70 | 0,4699 | 370 |
| 78-77 | 0,14605 | 115 |
| 70'-70 | 0,0508 | 40 |
| 70"-70 | 0,15875 | 125 |
| 70-68 | 0,34925 | 275 |
| 72-71 | 0,1016 | 80 |
| 77,1-77 | 0,36195 | 285 |
| 77-76 | 0,3683 | 290 |
| 84'-84 | 0,2286 | 180 |
| 85'-85 | 0,1143 | 90 |
| 85-84 | 0,15875 | 125 |
| 84-76 | 0,29845 | 235 |
| 76-75 | 0,14605 | 115 |
11тАЩ-11 | 0,127 | 100 |
| 11"-11 | 0,1016 | 80 |
| 11"'-11 | 0,127 | 100 |
| 11-10 | 0,1524 | 120 |
12тАЩ-12 | 0,08255 | 65 |
| 12-10 | 0,15875 | 125 |
| 10-9 | 0,12065 | 95 |
17тАЩ-17 | 0,09525 | 75 |
| 17-16 | 0,09525 | 75 |
| 69'-69 | 0,14605 | 115 |
| 16-15 | 0,17145 | 135 |
| 15-9 | 0,2667 | 210 |
| 9-8 | 0,2286 | 180 |
| 15-14 | 0,09525 | 75 |
| 14-13 | 0,3048 | 240 |
| 13-9 | 0,127 | 100 |
| 13-53 | 0,22225 | 175 |
| 14-69 | 0,2032 | 160 |
| 69-68 | 0,4318 | 340 |
| 68-67 | 0,254 | 200 |
| 75-67 | 0,3175 | 250 |
| 67'-67 | 0,5207 | 410 |
| 67-66 | 0,1651 | 130 |
| 66-65 | 0,0762 | 60 |
| 65'-65 | 0,1524 | 120 |
| 65-64 | 0,4445 | 350 |
| 64-58 | 0,1905 | 150 |
| 58-59 | 0,29845 | 235 |
| 58-57 | 0,12065 | 95 |
| 57-56 | 0,12065 | 95 |
| 57-63 | 0,2794 | 220 |
| 59-63 | 0,13335 | 105 |
| 59-60 | 0,27305 | 215 |
| 63'-63 | 0,13335 | 105 |
| 63-62 | 0,13335 | 105 |
| 56-55 | 0,12065 | 95 |
| 60-61 | 0,23495 | 185 |
| 55-54 | 0,04445 | 35 |
| 61-62 | 0,23495 | 185 |
| 52-61 | 0,28575 | 225 |
| 52,1-52 | 0,0254 | 20 |
| 54-53 | 0,13335 | 105 |
| 52-53 | 0,69215 | 545 |
2.3 Трассировка и конструирование водопроводной сети
Первоочередной задачей при проектировании и расчете водоводов и водопроводных сетей является обоснование выбора трасс линий на плане. Трассировку водоводов и сетей производят исходя из условия обеспечения требуемой надежности их работы и наименьшей строительной стоимости. Размещение линий водоводов и сетей зависит от следующих условий:
- местоположения источников водоснабжения, характера планировки населенного пункта или промышленного предприятия, размещения отдельных потребителей воды, формы и размеров жилых кварталов, цехов, зеленых насаждений, расположения проездов и т. п.;
- наличия естественных и искусственных препятствий для прокладки труб (реки, овраги, каналы, железные и шоссейные дороги и т.п.);
- рельефа местности.
На выбор трассы магистральных линий существенное влияние оказывает рельеф местности. Их по возможности следует прокладывать по наиболее возвышенным точкам территории. При соблюдении этих условий наличие достаточных свободных напоров в магистральной сети гарантирует создание достаточных напоров и в распределительной сети, получающей воду от магистральной сети и располагаемой на более низких отметках рельефа. Подобная трассировка магистралей обеспечивает относительно меньшее давление в трубах больших диаметров. Кроме того, выбор трассы магистральных линий зависит от места расположения регулирующих емкостей.
Разработку схемы водопроводной сети населенных пунктов начинают с определения места расположения регулирующей емкости. Затем наносят на план основные линии водопроводной сети с таким расчетом, чтобы они снабжали водой все жилые районы и промышленные предприятия. Из числа линий, расположенных в направлении движения основной массы воды и подающих воду к регулирующим емкостям, назначают магистрали. Они должны быть равномерно распределены на территории населенного пункта, охватывая все наиболее крупные водопотребители. Для надежности водоснабжения по основному направлению прокладывают не менее двух параллельных -магистральных линий на расстоянии 400тАФ800 м. Основные магистрали соединяют перемычками обычно через 600тАФ1000 м. К регулирующим емкостям должна быть предусмотрена подача воды не менее чем по двум линиям.
Выполнив трассировку сети, задают режим подачи воды в нее и определяют расходы воды, поступающие в сеть, а также объемы регулирующих емкостей. Дальнейшая методика расчета и проектирования сети заключается в следующем: намечают расчетную схему отбора воды из сети; задают начальное распределение потоков воды по отдельным линиям сети и находят расчетные расходы воды по участкам; руководствуясь давлением воды, геологическими и другими местными условиями, выбирают материал труб; определяют диаметры труб, потери напора па участках; осуществляют гидравлическую увязку сети, подбор насосов, уточняют первоначально принятые объемы регулирующих емкостей и расходы воды, подаваемой в сеть.
Водопроводная сеть является, как правило, наиболее дорогостоящей частью системы водоснабжения объекта. Она должна удовлетворять основному требованию тАФ бесперебойная подача воды в необходимом количестве к точкам ее отбора под требуемым напором. В соответствии с этим к водопроводным сетям предъявляют следующие требования: герметичность, минимальные гидравлические сопротивления на трение при движении воды в трубах, высокое сопротивление внутренними внешним нагрузкам, длительный срок службы труб и оборудования на сети. Кроме того, водопроводные сети должны удовлетворять требованиям максимальной экономичности.
Трубы, используемые для устройства водопроводных сетей, должны обеспечивать возможность их простого, быстрого и надежного соединения. Они должны быть рассчитаны на давление транспортируемой воды на внутреннюю поверхность, а также иметь необходимую прочность для сопротивления давлению грунта, прогибам от собственного веса и нагрузкам от транспорта.
Важное значение имеет герметичность как самих труб, так и стыковых соединений. Она является необходимым условием успешной и экономичной эксплуатации водопровода. При нарушении герметичности трубопроводов происходят утечки воды, повышаются эксплуатационные затраты, создается опасность загрязнения питьевой воды в результате инфильтрации грунтовой. Кроме того, утечки вызывают размыв грунта, что приводит к серьезным авариям.
В данном проекте приняты полимерные водопроводные трубы по ГОСТу 18599 - 83 Достоинствами труб являются: долговечность, малые сопротивления, малый вес, простота монтажа и демонтажа, санитарная надёжность.
2.4 Гидравлический расчет водопроводной сети
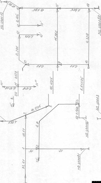
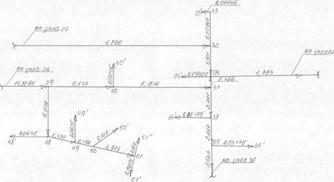
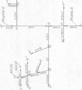
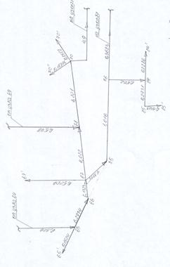
Расчётные расходы воды по участкам сети представлены на схеме отбора воды в л/с - рис. 1
Гидравлический расчет кольцевой сети выполнен с использованием таблиц [3 ]Потери напора, м
h = l.2S*q2 (8)
где S - сопротивление участка трубы

Рисунок 1- Схема отбора воды (узлы 1-2;1-54;1-53;1-14;1-16)

Рисунок 1- Схема отбора воды (узлы 52-61; 54-55;14-69), продолжение

Рисунок 1- Схема отбора воды (узел 2-3), продолжение

Рисунок 1- Схема отбора воды (узлы 16-18; 18-27; 18-26), продолжение

Рисунок 1- Схема отбора воды (узлы 26-29; 27-32; 29-35; 29-93), продолжение

Рисунок 1- Схема отбора воды (узлы 93-87; 87-92), продолжение

Рисунок 1- Схема отбора воды (узлы 35-36; 73-74), продолжение

Рисунок 1- Схема отбора воды (узлы 76-77;70-71;73-74), продолжение

Рисунок 1- Схема отбора воды (узлы 64-65;69-68;70-71;76-77), продолжение
S=S0*q (9)
где: Sо - удельное сопротивление, принимаемое в зависимости
от диаметра и материала труб [3 ] q q- расход воды по участку, л/с
Результаты гидравлического расчета сети сведены в таблицу
Таблица 3Гидравлический расчет сети
| Номер участка | Длина, 1,м | Расход, д. л/с | Диаметр, d мм | Скорость, м/с | Уд.сопротивление, S0*W6 | Сопротивление S=SO*I | Потери напора, п, м | |
| 1 | 2 | 3 | 4 | 5 | 6 | 7 | 8 | |
| в 3-1 | 455 | 33,51 | 250 | 0,68 | 0,000001454 | 0,0020266 | 2,73 | |
| 1-2 | 350 | 18,51 | 200 | 0,58 | 0,00001426 | 0,004991 | 2,05 | |
| 1-52 | 70 | 15 | 140 | 1,45 | 0,00009162 | 0,0064134 | 1,73 | |
| 2-3 | 295 | 1,937 | 90 | 9,54 | 0,0009268 | 0,273406 | 1,23 | |
| 3-4 | 200 | 0,9509 | 90 | 0,22 | 0,0009268 | 0,18536 | 0,2 | |
| 4-5 | 250 | 0,6969 | 90 | 0,22 | 0,0009268 | 0,2317 | 0,14 | |
| 5-5' | 100 | 0,127 | 90 | 0,019 | 0,0009268 | 0,09268 | 0,002 | |
| 5-6 | 120 | 0,2524 | 90 | 0,039 | 0,0009268 | 0,111216 | 0,01 | |
| 6-7 | 195 | 0,2476 | 90 | 0,038 | 0,0009268 | 0,180726 | 0,015 | |
| 3-7 | 365 | 0,6112 | 90 | 0,096 | 0,0009268 | 0,338282 | 0,1 | |